<![CDATA[
– News from elsewhere covered by Quincy Quarry News.
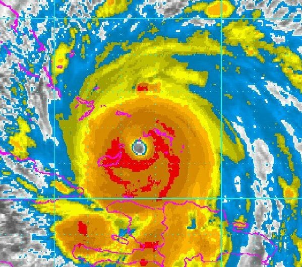
While Hurricane Irma was both the most powerful as well as widest ranging hurricane to hit the United States mainline per meteorological history, its late westerly shift in its track spared Miami a direct hit.
The path of Hurricane Irma also skirted the western coastline of Florida such that the power of Irma dissipated to a lesser level of still considerable fury.
So far, US storm deaths have been but a handful, surely due in no small part to massive evacuations.
Similarly, early damage cost estimated are running in the twenty to forty billion dollar range and thus less than fifty billion anticipated.
While still a great deal of damages, Irma has inflicted considerably less than the hundred and fifty billion dollars or thereabouts in damages caused by Hurricane Harvey.
In turn, insurance company stocks have seen their stock prices recover some from recent declines and so providing about the only positive news in recent hurricanes news.
Then again, the orderly evacuation of flamingos at Tampa’s world class Busch Gardens zoo and into secure quarters has surely been uplifting to animal lovers.
Even so, upwards of as many as twenty-six million Florida residents are currently with power as well as everyone in Florida is looking at many months of cleaning-up, repairs needed and all manner of other inconveniences.
Read Full Story: Tropical Storm Irma floods northern Florida cities after hammering south
]]>











